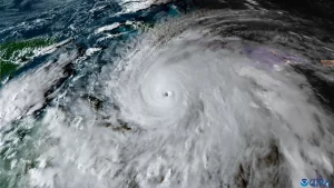
Según el Centro Nacional de Huracanes (NHC, por sus siglas en inglés), en su último boletín asegura...
huracán melissa
Los decesos fueron a causa de la tala de árboles como medida de precaución por la llegada...
